Top Stories

Hurricane Melissa strengthens into Category 4: What to know about the storm’s path, latest forecast

Residents in these areas are advised to take precautions and prepare for potential flooding, landslides, and strong winds. The NHC warned that storm surge could raise water levels by as much as 10 feet above normal tide levels in some coastal areas.

Emergency shelters have been opened in Jamaica, Haiti, and Cuba for residents seeking safety from the storm. The Jamaican government has urged citizens to stay indoors and follow all safety protocols as Hurricane Melissa approaches.

The impact of Hurricane Melissa is expected to be severe, with widespread power outages, damaged infrastructure, and potential loss of life. Authorities are working diligently to ensure the safety and well-being of all residents in the path of the storm.

As Hurricane Melissa continues to strengthen and move closer to land, it serves as a stark reminder of the power and unpredictability of nature. It is crucial for residents in affected areas to stay informed, stay safe, and follow all evacuation orders and guidelines issued by local authorities.

The NHC will continue to monitor Hurricane Melissa closely and provide updates as the situation develops. For now, residents in Jamaica, Haiti, and Cuba must brace themselves for the impact of this powerful storm and take all necessary precautions to protect themselves and their families.

The southern peninsula of Haiti and Jamaica are bracing for the impact of Hurricane Melissa, with some areas potentially facing up to 40 inches of rain. This heavy rainfall is expected to result in catastrophic flash flooding and dangerous landslides, posing a significant threat to lives and property.

In addition to the heavy rainfall, the National Hurricane Center (NHC) has issued warnings for dangerous storm surge, surf, and rip currents in the region. The southern coast of Jamaica is expected to experience “life-threatening storm surge” peaking between 9 and 13 feet above ground level from late Monday through Tuesday morning.

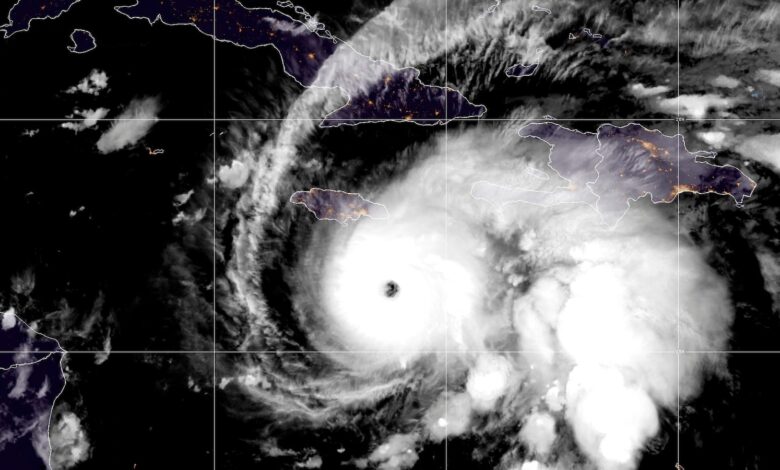
Hurricane Melissa is rapidly intensifying, with maximum sustained winds near 140 mph and higher gusts. The storm is forecasted to bring devastating hurricane-force winds to Jamaica, starting on Monday and continuing into Tuesday as the eye of the storm approaches the southern coastline.

After impacting Jamaica, Melissa is projected to track northward and then northeastward on Tuesday and Wednesday. It is likely to make landfall over eastern Cuba late Tuesday night or early Wednesday morning before potentially moving near or over the southeastern Bahamas and Turks and Caicos.

The NHC has warned of the potential for extensive infrastructural damage, long-duration power outages, communication disruptions, and isolation of communities in Jamaica and southwestern Haiti. Eastern Cuba is also expected to receive significant rainfall, ranging from 6 to 18 inches, which could lead to dangerous flash flooding and landslides in the region.

Residents in the path of Hurricane Melissa are urged to take necessary precautions, heed evacuation orders, and stay informed about the latest updates from local authorities and weather agencies. Stay safe and be prepared for the impact of this powerful storm. scratch on a topic of your choice.

Title: The Benefits of Mindfulness Meditation for Mental Health

In today’s fast-paced and stressful world, it can be easy to get caught up in the chaos and lose sight of our mental well-being. However, one practice that has been gaining popularity in recent years for its positive impact on mental health is mindfulness meditation. This ancient practice, rooted in Buddhist tradition, involves focusing one’s attention on the present moment and accepting it without judgment.

Numerous studies have shown that regular mindfulness meditation can have a wide range of benefits for mental health. One of the key benefits is its ability to reduce stress and anxiety. By practicing mindfulness, individuals can learn to better manage their thoughts and emotions, which can help them to feel more at ease and less overwhelmed by daily stressors.

Mindfulness meditation has also been shown to improve overall emotional well-being. By cultivating a greater sense of self-awareness and acceptance, individuals can learn to respond to their emotions in a healthier way, rather than reacting impulsively or suppressing them. This can lead to a greater sense of emotional balance and resilience in the face of life’s challenges.

In addition to its benefits for stress and emotional well-being, mindfulness meditation has also been shown to improve focus and concentration. By training the mind to stay present and focused on the task at hand, individuals can enhance their cognitive abilities and productivity. This can be particularly beneficial for those who struggle with attention issues or distractibility.

Furthermore, mindfulness meditation has been found to have a positive impact on mood and overall mental health. Studies have shown that regular practice of mindfulness can help to alleviate symptoms of depression and improve overall feelings of well-being. By fostering a greater sense of connection to the present moment and to oneself, individuals can experience a greater sense of peace and contentment in their lives.

Overall, the benefits of mindfulness meditation for mental health are vast and well-supported by research. By incorporating this practice into your daily routine, you can experience greater emotional well-being, reduced stress and anxiety, improved focus and concentration, and an overall greater sense of mental clarity and peace. So why not give it a try and see the positive impact it can have on your mental health?

Related Articles

Back to top button